El huracán Melissa alcanzó la categoría 5 en el Caribe el 27 de octubre de 2025, convirtiéndose en el tercer ciclón de máxima intensidad en la actual temporada de huracanes del Atlántico, una cifra que no se registraba desde hace veinte años, de acuerdo con la NOAA y el Centro Nacional de Huracanes (NHC). La situación afecta especialmente a Jamaica y pone en alerta a otras islas del Caribe debido a la fuerza y organización del sistema.
Según el informe del Centro Nacional de Huracanes (NHC), Melissa presentó vientos sostenidos de hasta 265 kilómetros por hora y una presión central de 908 milibares, ubicándose entre los huracanes más intensos jamás registrados en el Atlántico. La Administración Nacional Oceánica y Atmosférica (NOAA) confirmó que la actual temporada de huracanes iguala el patrón de 2005, cuando hubo cuatro fenómenos de categoría 5.
¿Por qué es importante que Melissa sea el tercer huracán de categoría 5 de la temporada?
De acuerdo con registros oficiales de la NOAA y el NHC, solo en 2005 se había observado una temporada con más de dos huracanes de categoría 5. En aquel año se contabilizaron cuatro ciclones de máxima intensidad. En 2025, Melissa se suma a Erin y Humberto, lo que vuelve a colocar la frecuencia y la intensidad de los huracanes en el centro del análisis meteorológico.
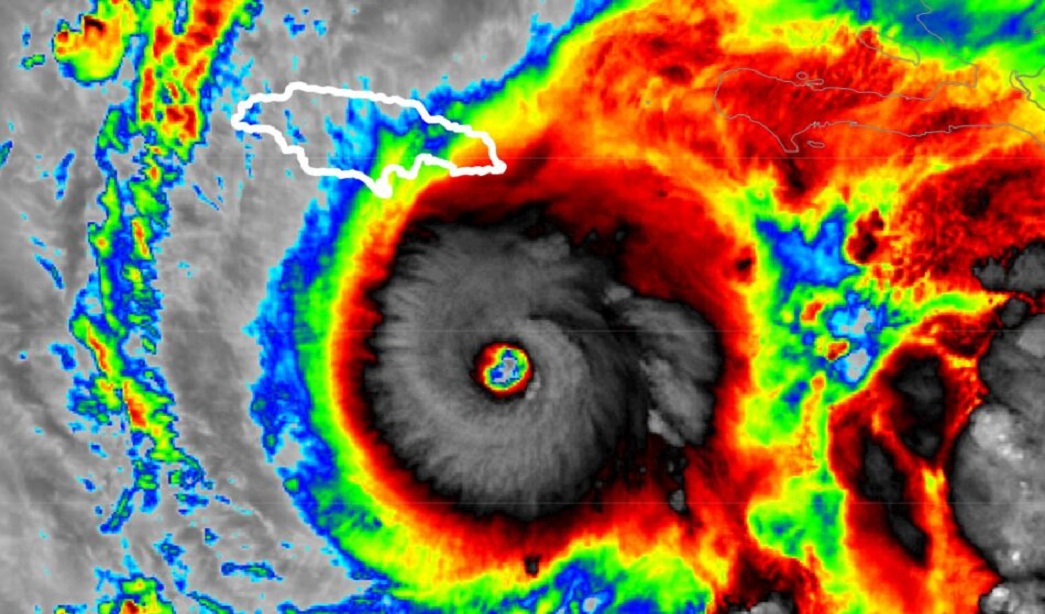
¿Cómo afecta el huracán Melissa a Jamaica y al Caribe?
El NHC advierte que Jamaica enfrenta lluvias torrenciales, vientos extremos e inundaciones como resultado del paso de Melissa sobre la isla. Las autoridades han activado más de 800 refugios y ordenado evacuaciones preventivas en regiones costeras y áreas vulnerables. Además, se han suspendido temporalmente las operaciones del aeropuerto internacional de Kingston y de los principales puertos, de acuerdo con la información difundida por agencias gubernamentales y medios como Reuters.
En otras zonas del Caribe, como Haití, República Dominicana, Cuba y Bahamas, se mantienen protocolos de emergencia ante la posibilidad de lluvias intensas, marejadas ciclónicas y cortes de servicios. La NOAA informa que el ciclón podría seguir desplazándose hacia el noreste del Atlántico tras afectar a las Antillas Mayores, alejándose de la costa continental estadounidense.
¿Cuántas tormentas y huracanes ha habido en la temporada del Atlántico 2025?
La NOAA indica que, hasta el momento, la temporada 2025 ha registrado 13 tormentas nombradas, cifra inferior a las 28 contabilizadas durante el 2005. De esas trece, tres han alcanzado la categoría 5, lo que representa una proporción inusual en términos estadísticos respecto a temporadas previas. El pronóstico estacional publicado por la NOAA ya anticipaba una actividad superior al promedio, con entre 13 y 19 sistemas y tres a cinco huracanes mayores esperados.
Según informes reproducidos por Fox News, el uso de nuevos modelos de pronóstico, incluidos aquellos basados en inteligencia artificial, ha permitido una mayor precisión en la identificación y seguimiento de sistemas de alta peligrosidad, como es el caso de Melissa.
¿Cuál es el récord histórico de huracanes de categoría 5 en el Atlántico?
Datos históricos recogidos por la NOAA y el NHC muestran que el Atlántico ha experimentado un total de al menos 40 huracanes de categoría 5 desde 1924. La temporada 2005 mantiene el récord absoluto, con cuatro ciclones de máxima intensidad. Hasta 2025, solo se había repetido el fenómeno de tres huracanes de categoría 5 en una misma temporada.
Además, la presión mínima registrada por el huracán Melissa lo posiciona entre los ciclones más intensos del siglo XXI. El perfil de este sistema meteorológico refuerza la advertencia de la comunidad científica sobre la posibilidad de que los periodos de alta actividad ciclónica se vuelvan más frecuentes por los cambios en patrones oceánicos y atmosféricos.
¿Qué dicen las autoridades y cómo deben prepararse los afectados?
Ante el avance de Melissa, el NHC reiteró que la población debe seguir en todo momento las recomendaciones oficiales. “Todas las personas en áreas de riesgo deben acatar órdenes de evacuación y prestar atención a los informes de las autoridades, así como a los boletines del NHC y de agencias locales”, expresó el organismo en su último comunicado oficial.
La NOAA subrayó que la monitorización constante de los ciclones mayores es clave para mitigar riesgos y limitar daños. “Eventos como este ponen a prueba la capacidad regional de respuesta y la efectividad de los sistemas de alerta temprana”, señaló la agencia en su página institucional.
Las medidas de prevención incluyen resguardo en zonas seguras, disposición de suministros básicos y seguimiento a las actualizaciones sobre la evolución del huracán. El cierre temporal de puertos y aeropuertos es una acción preventiva que busca reducir la exposición a posibles daños y facilitar las labores de emergencia. Con información de Infobae.
