San Juan – El primer ministro de Jamaica, Andrew Holness, declaró este martes el país como «zona catastrófica», tras el impacto del huracán Melissa de categoría 5 que disminuyó a 4, horas después de tocar tierra en Westmoreland, localidad ubicada en el suroeste.

La declaración se realizó en virtud de la Ley de Gestión del Riesgo de Desastres, según un comunicado de la oficina del primer ministro.

Por su parte, Desmond McKenzie, el ministro jamaicano de Desarrollo Comunitario y responsable de la respuesta ante desastres, lamentó en una rueda de prensa que se reportaron inundaciones generalizadas, deslizamientos de tierra y graves daños en las infraestructuras.

Hasta ahora, los municipios con mayores daños son Clarendon, Manchester, Saint Elizabeth y Westmoreland, donde muchas comunidades siguen aisladas y las carreteras están intransitables.

McKenzie describió la devastación en Saint Elizabeth como «extensa», informó de que «varias familias» quedaron atrapadas en sus hogares en Black River y los equipos de rescate tienen dificultades para llegar a los residentes afectados debido a las peligrosas condiciones.

McKenzie recalcó que no podía proporcionar detalles específicos sobre la magnitud de los daños causados por el huracán, ya que las evaluaciones apenas están comenzando.

Además, McKenzie agradeció al Cuerpo de Bomberos de Jamaica y a la Fuerza de Defensa de Jamaica su ardua labor para ayudar a los residentes durante la jornada y confirmó que hay más de 800 refugios abiertos y que, hace unas tres horas, 382 de ellos albergaban a casi 6.000 personas en toda la isla.

Del mismo modo, el ministro de Industria de Jamaica, Aubyn Hill, emitió una orden comercial de emergencia para evitar la especulación con los precios y salvaguardar los suministros esenciales.

«Debemos seguir manteniendo de forma proactiva la estabilidad, protegiendo a los consumidores y evitando cualquier tipo de explotación en un momento en el que los ciudadanos están asegurando sus suministros de alimentos, agua y otros productos. Estas órdenes proporcionan al Gobierno las herramientas necesarias para seguir gestionando nuestra respuesta al huracán Melissa», explicó Hill.

Las autoridades jamaicanas informaron de que Melissa provocó daños en seis hospitales y dejó carreteras inundadas, postes de luz y árboles caídos, según datos preliminares.

El ministro de Salud y Bienestar, Christopher Tufton, informó este martes de que cuatro hospitales sufrieron «daños importantes» por Melissa.

Los instituciones médicas afectadas son Noel Holmes en Hanover, Black River en Saint Elizabeth, Cornwall Regional en Saint James y Falmouth en Trelawny.

Asimismo, el Hospital Infantil Bustamante, en Kingston, quedó con el acceso bloqueado debido a la caída de un poste eléctrico.

Una parte del Hospital General Público Savanna-la-Mar, en Westmoreland, también sufrió graves daños después de que los vientos derivados del huracán Melissa arrancaran el techo.

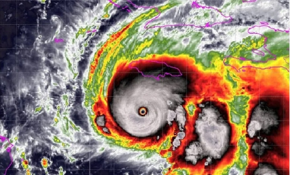
De acuerdo al Centro Nacional de Huracanes (NHC, en inglés) de Estados Unidos, el huracán Melissa disminuyó a categoría 4, aunque las alertas por fuertes vientos, inundaciones repentinas y marejada ciclónica persisten.

Al menos nueve personas han muerto hasta el momento a causa de los vientos y lluvias asociados a Melissa en su paso por el Caribe, tres de ellos en Jamaica, otros tres en Haití, dos en Panamá y uno en República Dominicana. Con información de EFE

¡DIOS BENDIGA A HONDURAS!